LUCKNOW PHASE II

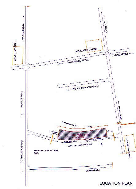
LOCATION : Sector O/P in Mansarovar Yojana, Kanpur road scheme close to M/N Sector of Aashiyana.

CONFIGURATION : Independent Expandable Duplex Bungalows.

Sale of Shops : Letter Dated 16 Nov 09 and 03 Jul 09 to All Allottees.

Letter Dated 28 Aug 08 to Allottees of DU Nos 65-87 and 135-145.

STATUS:
  • PROJECT COMPLETE. ALL UNITS HAVE BEEN HANDED OVER.
  • TENTATIVE COST, AREA AND ACCOMMODATION
    Category
    Tentative Plot Area in Sq Yd
    Tentative SuperArea of construction in Sq Ft
    Cost of Dwelling Unit
    Accommodation
    A-I
    200 (1800 Sq Ft)
    1460
    21 lacs
    Drawing/Dining, 3 Bedrooms, Kitchen, 2 Toilets, Staircase, Rear front, side open.
    A-II
    150(1350 Sq Ft)
    1170
    16.5 lacs
    Drawing/Dining, 2 Bedrooms, Kitchen, 2 Toilets, Staircase, Rear & front open
    B
    125(1125 Sq Ft)
    754
    12 lacs
    Living room, 2 Bedrooms, 1 Bath, 1 WC, Stairca, Rear and front open
    Photographs...